Property Details
230 Morris Road
Matthews
$847,000
MLS Number: 4312234
Status: Active
Description
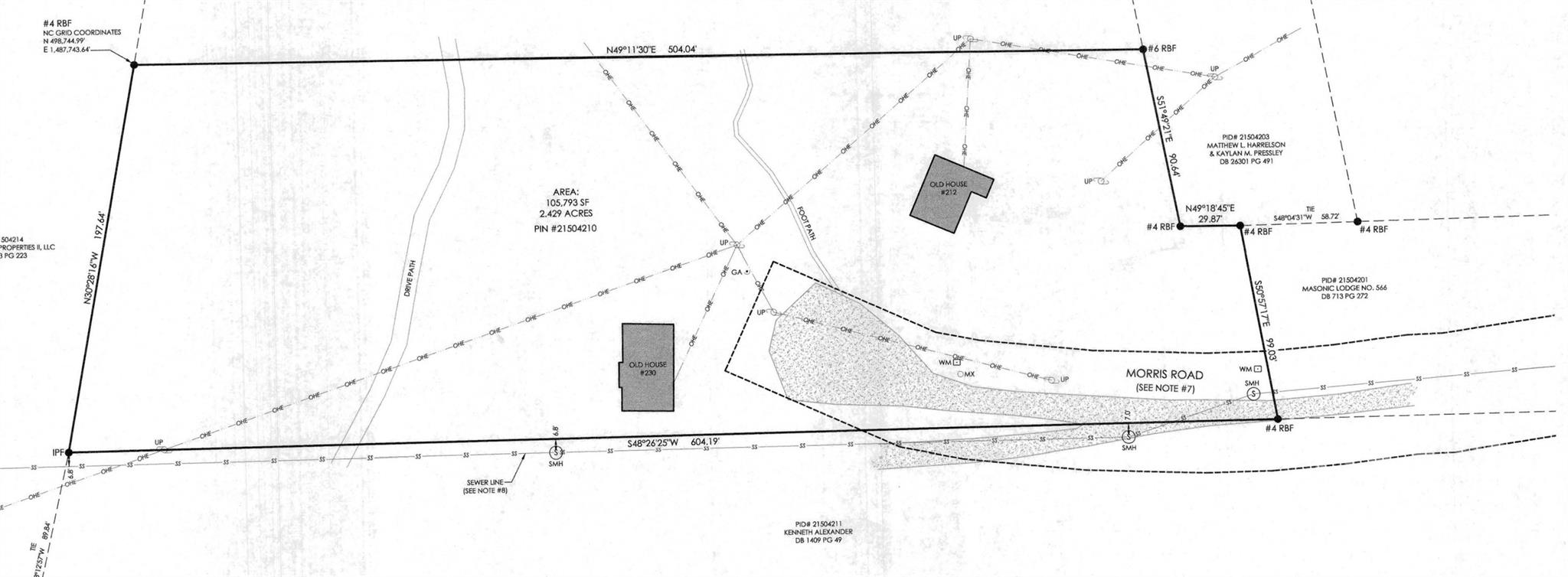
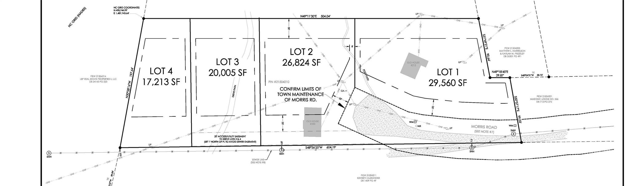
Overview Discover a rare opportunity to own a versatile parcel in the fast-growing Matthews area. Situated on Morris Road, this property offers privacy with convenient access, making it well suited for a custom estate, investment, or potential development. There may also be an opportunity to acquire adjacent vacant parcels at a similar per-acre price, allowing for a possibility of 15 acres. Key Features and Highlights • Excellent Location. Situated in Matthews, one of the most desirable communities in Mecklenburg County, this property is well positioned for connectivity to Charlotte and surrounding suburbs.• Easy Access. Close to major arteries and highways, making commuting or future development straightforward.• Utilities Available. Sewer, water, and electric access present.• Flexible Zoning and Usage Potential. Ideal for single family custom homes, a small subdivision, or other residential development.
Location |
|
|---|---|
| Address | 230 Morris Road Matthews |
| County | Mecklenburg |
Overview |
|
| Bedrooms | 0 |
| Full Bathrooms | 0 |
| Half Bathrooms | 0 |
| Lot Size | 2.42 acres |
| Year Built | 0 |
General |
|
| List Price | $847,000 |
| MLS Number | 4312234 |
| Status | Active |
| Office | Homecoin.com |
Schools |
|
| Elementary | Unspecified |
| Middle | Unspecified |
| High | Unspecified |
Features |
|
| Type | Acreage |
| Water/Sewer | City |
Listings courtesy of Canopy MLS as distributed by MLS GRID

Based on information submitted to the MLS GRID as of 04/27/26 4:34 pm EST.
All data is obtained from various sources and may not have been verified by broker or MLS GRID. Supplied Open House Information is subject to change without notice. All information should be independently reviewed and verified for accuracy. School assignments should be verified and are subject to change. Properties may or may not be listed by the office/agent presenting the information. Properties reported may be listed or sold by various participants in the MLS. Copyright© 2020 Canopy Multiple Listing Services, Inc. All rights reserved.
The Digital Millennium Copyright Act of 1998, 17 U.S.C. § 512 (the "DMCA") provides recourse for copyright owners who believe that material appearing on the Internet infringes their rights under U.S. copyright law. If you believe in good faith that any content or material made available in connection with our website or services infringes your copyright, you (or your agent) may send us a notice requesting that the content or material be removed, or access to it blocked. Notices must be sent in writing by email to [email protected].
The DMCA requires that your notice of alleged copyright infringement include the following information:
(1) description of the copyrighted work that is the subject of claimed infringement;
(2) description of the alleged infringing content and information sufficient to permit us to locate the content;
(3) contact information for you, including your address, telephone number and email address;
(4) a statement by you that you have a good faith belief that the content in the manner complained of is not authorized by the copyright owner, or its agent, or by the operation of any law;
(5) a statement by you, signed under penalty of perjury, that the information in the notification is accurate and that you have the authority to enforce the copyrights that are claimed to be infringed; and
(6) a physical or electronic signature of the copyright owner or a person authorized to act on the copyright owner’s behalf. Failure to include all of the above information may result in the delay of the processing of your complaint.

