Property Details
202 Sports Village Drive
Hendersonville
$799,999
MLS Number: 4369115
Status: Active
Description
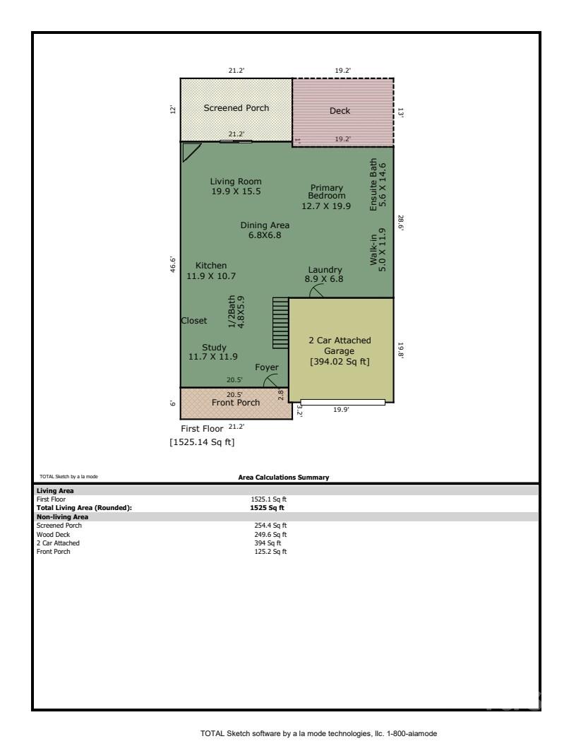
Meticulously maintained 2021 home in the sought-after gated community of Cummings Cove Golf & Country Club, offering effortless main-level living and stunning year-round views. This is a great Lock & Leave property as the HOA is responsible for lawn maintenance. This beautifully upgraded home features an open floor plan with soaring vaulted ceilings and abundant natural light. The chef’s kitchen is designed to impress with a gas cooktop, dual electric and gas ovens, quartz countertops, under-cabinet lighting, an upgraded backsplash, a spacious island, breakfast bar and a walk-in pantry. The inviting living room showcases 4” custom plantation shutters, a cozy gas log fireplace with floor to ceiling stone, and an upgraded sliding door that opens to a screened porch—perfect for enjoying breathtaking sunsets, year-round mountain views, 11th Fairway golf course scenery, and a peaceful pond with water feature. An additional open deck provides the ideal space for grilling and entertaining. The primary En-suite is a true retreat, complete with a Carolina Closets system, custom 4" plantation shutters, double sinks, multi function lighted mirrors, and a beautifully custom tiled walk-in shower with glass enclosure. Main Floor offers an office with custom shades/blinds & a French style door. The fully finished lower level walk-out basement expands your living space with a comfortable gathering room featuring custom shades/blinds, a wine bar with wine cooler, a versatile flex room, and a large 394SF storage room. Two additional bedrooms—each with custom 4" plantation shutters and walk-in Carolina closets—share a well-appointed bath with double sinks & a tiled walk-in shower and glass door. Enjoy the Cummings Cove active lifestyle, offering resort-style amenities including an 18-hole year-round golf course, pickleball, tennis, bocce ball, heated pool and spa, dog park, community garden, clubhouse and a full calendar of social activities. Restaurant & Bar to open May 1, 2026. Ideally located just minutes from Pisgah National Forest and DuPont State Recreational Forest, as well as the charming towns of Hendersonville and Brevard that are about 20 minutes away. Everyday conveniences in Etowah—groceries, gas, dining, and more—are just 8 minutes away.
Location |
|
|---|---|
| Address | 202 Sports Village Drive Hendersonville |
| Subdivision | Cummings Cove |
| County | Henderson |
Overview |
|
| Bedrooms | 3 |
| Full Bathrooms | 2 |
| Half Bathrooms | 1 |
| Square Feet | 2995 sqft |
| Lot Size | 0.04 acres |
| Year Built | 2021 |
General |
|
| List Price | $799,999 |
| MLS Number | 4369115 |
| Status | Active |
| Office | Keller Williams Realty Mountain Partners |
Schools |
|
| Elementary | Etowah |
| Middle | Rugby |
| High | West Henderson |
Features |
|
| Type | Townhouse |
| Style | Arts and Crafts |
| Parking | Driveway, Attached Garage, Garage Faces Front, Keypad Entry |
| Exterior Miscellaneous | Lawn Maintenance |
| Water/Sewer | City |
| Floor Coverings | Carpet, Laminate |
| Interior Miscellaneous | Attic Stairs Pulldown, Entrance Foyer, Kitchen Island, Open Floorplan, Pantry, Split Bedroom, Storage, Walk-In Closet(s), Walk-In Pantry |
Listings courtesy of Canopy MLS as distributed by MLS GRID

Based on information submitted to the MLS GRID as of 04/29/26 4:34 pm EST.
All data is obtained from various sources and may not have been verified by broker or MLS GRID. Supplied Open House Information is subject to change without notice. All information should be independently reviewed and verified for accuracy. School assignments should be verified and are subject to change. Properties may or may not be listed by the office/agent presenting the information. Properties reported may be listed or sold by various participants in the MLS. Copyright© 2020 Canopy Multiple Listing Services, Inc. All rights reserved.
The Digital Millennium Copyright Act of 1998, 17 U.S.C. § 512 (the "DMCA") provides recourse for copyright owners who believe that material appearing on the Internet infringes their rights under U.S. copyright law. If you believe in good faith that any content or material made available in connection with our website or services infringes your copyright, you (or your agent) may send us a notice requesting that the content or material be removed, or access to it blocked. Notices must be sent in writing by email to [email protected].
The DMCA requires that your notice of alleged copyright infringement include the following information:
(1) description of the copyrighted work that is the subject of claimed infringement;
(2) description of the alleged infringing content and information sufficient to permit us to locate the content;
(3) contact information for you, including your address, telephone number and email address;
(4) a statement by you that you have a good faith belief that the content in the manner complained of is not authorized by the copyright owner, or its agent, or by the operation of any law;
(5) a statement by you, signed under penalty of perjury, that the information in the notification is accurate and that you have the authority to enforce the copyrights that are claimed to be infringed; and
(6) a physical or electronic signature of the copyright owner or a person authorized to act on the copyright owner’s behalf. Failure to include all of the above information may result in the delay of the processing of your complaint.





































